Một nhà khoa học hàng đầu của Philippines đã lên tiếng phản bác một video cáo buộc, siêu bão Haiyan (hay còn được biết đến với tên gọi "Yolanda" ở Philippines) là thảm họa nhân tạo, do công nghệ phát xung vi ba của Mỹ gây ra.
![]() |
|
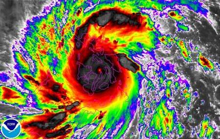
Siêu bão Haiyan (hay còn được biết đến với tên gọi "Yolanda" ở Philippines) là một trong những cơn bão mạnh nhất trong lịch sử thế giới và đã gây ra những tổn thất khủng khiếp về người và của khi quét qua Philippines tuần trước. Ảnh: Reuters/NOAA |
Một đoạn video do tài khoản có tên DutchSince đăng tải trên trang YouTube ngày 8/11, đang gây xôn xao dư luận vì thông tin hé lộ "thủ phạm" gây ra siêu bão hủy diệt Philippines vừa qua. Viện dẫn các hình ảnh động của vệ tinh về dịch chuyển của siêu bão Haiyan, Dutchsince tố cáo, một cơ sở của Mỹ tại bang Alaska đã thao túng hướng đi và sức mạnh của sự nhiễu loạn thời tiết này.
"Chúng ta có thể theo dõi sự hình thành của cơn bão này ... và những gì chúng ta nhìn thấy nhiều lần ở đây, gần đảo Guam, là một xung vi ba lớn, hình xoắn ốc, bắt nguồn từ hướng bắc", trích lời thuyết minh trong đoạn video. Người đưa ra thuyết âm mưu cũng cáo buộc, xung vi ba hiện đang kiểm soát một hệ thống thời tiết mới có tên "Zoraida", được phát hiện ở ngoài khơi Philippines.
Trong cuộc phỏng vấn truyền hình mới đây trên kênh ANC, nhà khoa học Mahar Lagmay đến từ Đại học Philippines nhấn mạnh: "Những người đưa ra cáo buộc trước tiên phải chứng minh sóng vi ba là căn nguyên hình thành siêu bão".
Theo ông Lagmay, người đứng đầu Dự án diễn đàn giám sát thời tiết trực tuyến NOAH của Bộ Khoa học và Công nghệ Philippines, bản thân tác giả của đoạn video nói trên có thể cũng không tin vào chính nhận định của mình.
"Từ những hình ảnh mà tài khoản DutchSince trích dẫn, dường như cơn bão đã phát triển khi ông ta nói các xung vi ba đang được phát đi. Và điều thứ hai tôi nhận thấy là, ông ta cũng đang gắn các xung vi ba với sự xuất hiện của động đất, trong khi những gì chúng ta biết về động đất là, chúng hình thành do sự tích tụ năng lượng bắt nguồn từ các vận động địa chất. Và theo thời gian, số năng lượng này được tích tụ dọc các đứt gãy và nó rốt cuộc không liên quan đến bất kỳ dạng vi sóng nào mà DutchSince đề cập tới", ông Lagmay giải thích.
Chuyên gia Philippines cũng bày tỏ nghi ngờ về việc liệu các tuyên bố của Dutchsinse có căn cứ trên sự thực hay không. Ông đòi hỏi người đưa ra cáo buộc phải chứng minh nhận định của mình một cách rõ ràng bằng các bằng chứng đáng tin cậy.
Tuấn Anh (Theo Philstar)
