NASA đã phát triển một loại nước ép hoa quả đặc biệt để bảo vệ các phi hành gia khỏi bức xạ vũ trụ.
![]() |
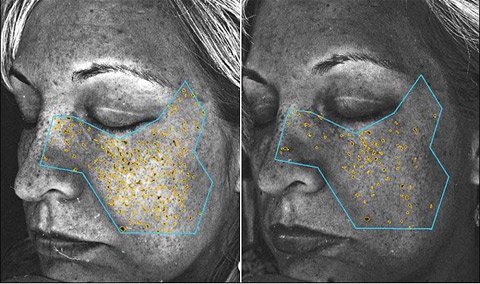
| AS10 giảm các vết nám, tàn nhang tới 30% và giảm 17% nếp nhăn |
Tuyệt vời hơn, loại thần dược đột phá có tên AS10 này còn giúp giảm vết nhăn, mụn và sự tàn phá của mặt trời trên bề mặt da chỉ sau 4 tháng sử dụng.
Sử dụng các mức phơi sáng khác nhau để quét hình, các nhà nghiên cứu đã “chụp” được tình trạng da bên dưới bề mặt da của 180 tình nguyện viên tại hai thời điểm: khi bắt đầu thử nghiệm và sau 4 tháng uống AS10 liên tục. Tần suất uống là hai lần mỗi ngày. Kết quả cho thấy, các đốm tàn nhang, nám do tia UV gây ra đã giảm 30% còn nếp nhăn giảm được 17%.
Trên thực tế, AS10 được phát triển với mục đích ban đầu là nguồn bổ sung dinh dưỡng cho các phi hành gia và bảo vệ họ khỏi những tổn hại do bức xạ cực cao ở ngoài khí quyển Trái đất gây ra.
Loại thức uống này là sự pha trộn của nhiều loại quả khác nhau như cupuacu (một loại quả chỉ có ở Brazil, cùng thuộc họ cây cacao), acai (một loại quả tương tự như dâu,t huộc họ cọ Arecacea mọc nhiều ở rừng nhiệt đới Amazon, Brazil, mọng nước, màu tím đậm); cherry, lê và dâu. Tất cả những loại quả này đều cung cấp nhiều vitamin và hợp chất phytochemical, vốn đã được chứng minh là có khả năng vô hiệu hóa các tổn hại của bức xạ. Ngoài ra AS10 còn có một số thành phần khác như nho, trà xanh, lựu và rau.
Theo DailyMail, các hạt bức xạ sẽ làm biến đổi phân tử oxy trong cơ thể để tạo ra các gốc oxy hóa (ROS). Quy trình phá hủy tế bào và oxy hóa cơ thể có liên quan đến nhiều bệnh nguy hiểm như ung thư và Alzheimer’s, đồng thời những tế bào đã bị oxy hóa cũng sẽ khiến cho làn da nhanh chóng bị lão hóa, xuống cấp.
Bình thường, các gốc ROS vẫn được tạo ra một cách tự nhiên trong cơ thể mỗi khi tế bào sản sinh ra năng lượng. Thế nhưng chúng cũng bị kích thích mạnh bởi các tác nhân môi trường như hóa chất, tia cực tím, bức xạ di động, khói thuốc lá và chất cồn.
Tiến sĩ Aaron Barson, chuyên gia dinh dưỡng của Mỹ cho biết AS10 có thể cải thiện tình trạng da nhờ một lượng lớn chất chống oxy hóa trong thành phần. Những chất này sẽ bám vào các gốc ROS và trung hòa chúng trước khi ROS kịp phá hoại da.
Nhược điểm chính của AS10 chính là giá thành đắt đỏ của nó. Với giá 30 bảng (900.000 VND) một chai 750ml, mỗi phụ nữ trong cuộc thí nghiệm sẽ uống khoảng 60ml mỗi ngày và tiêu hết 300 bảng Anh (hơn 9 triệu VND) cho 4 tháng.
Y Lam
