Một đoàn thám hiểm Anh quốc vừa phát hiện hơn một chục miệng núi lửa dưới đáy đại dương Nam Cực thuộc khu vực gần các hòn đảo có tên South Sandwich ở phía nam Đại Tây Dương. Những rặng núi lửa này có độ cao lên tới gần 3km và một vài miệng đang hoạt động.
TIN LIÊN QUAN
Những vụ phun trào núi lửa kinh hoàng nhất năm 2010TIN LIÊN QUAN
Năm 2012 tất cả núi lửa đồng loạt thức giấc?
Hùng vĩ cảnh núi lửa phun trào
Năm 1775, khi thám hiểm gia James Cook khám phá ra quần đảo South Sandwich, ông đồng thời cũng có ghi lại sự tồn tại của hàng tá các hòn đảo núi lửa đang hoạt động nhô lên trên mặt nước. “Tuy nhiên, khu vực bên dưới đáy biển vẫn hoàn toàn chưa được biết. Chưa ai từng khảo sát khu vực này trước đây”, Phil Leats dẫn đầu nhóm khảo sát Nam Cực Anh quốc cho biết trên Discovery. “Hiện tại, chúng tôi đã lập sơ đồ rất chi tiết về vùng đáy biển quanh những hòn đảo này”.
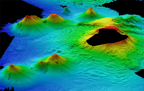
![]() |
| Hình ảnh quét bằng thiết bị quét âm dưới nước cho thấy có đến 12 miệng núi lửa mới được phát hiện dưới vùng nước Nam Cực gần quần đảo South Sandwich, thuộc phía nam cuối Đại Tây Dương. Ảnh: British Antarctic Survey. |
Đoàn thám hiểm đã dùng đến các máy quét hình ảnh dưới nước (sonar scans) và phát hiện 12 núi lửa ngầm mới. Một vài ngọn núi có độ cao lên tới hơn 2km nhô lên khỏi đáy biển. Một số rặng núi lửa này rõ ràng hoạt động mạnh thời gian gần đây. Những ngọn khác đã “chết” và tạo ra những miệng núi lửa tắt khổng lồ rộng tới gần 5km.
Theo phân tích khoa học, những rặng núi lửa này được tạo ra khi mảng địa chất lục địa Nam Mỹ trượt qua bên dưới mảng địa chất South Sandwich về phía tây, khiến cho nước biển bị hút vào sâu bên trong lõi Trái đất qua khe trượt. Sau cùng, nham thạch nóng chảy từ lõi Trái đất lại phun trào lên trở lại tạo nên sự phun trào của những rặng núi lửa này.
Nhờ khám phá này, các nhà địa lý học có thêm hiểu biết về các vụ phun trào bên dưới đại dương và quá trình hình thành của một vỏ lục địa mới.
Giới sinh vật học cũng rất quan tâm đến khám phá này bởi vì những miệng phun nước nóng tuôn ra từ dưới đáy biển sẽ tạo ra một loại môi trường sống mới, từ đó tạo ra các loài mới. “Chúng ta vốn biết có một hệ sinh thái hoàn toàn khác cho những dạng sống mới tồn tại quanh những khu vực nước nóng như vậy”, ông Leat cho biết.
Ngoài ra, phát hiện này giúp tăng nhận thức chung về hiểm họa sóng thần. Núi lửa dưới đại dương thường được cấu thành bởi vách núi không ổn định. Nếu toàn bộ vách núi lửa đều không ổn định, nó có thể sụt xuống bất thình lình, và tạo ra sóng thần.
“Dữ liệu GPS của chúng tôi có thể chứng minh rằng thực chất các hòn đảo ở South Sandwich đang di chuyển về phía đông với tốc độ rất nhanh, hướng về phía châu Phi. Như vậy, bờ biển phía tây châu Phi đang đứng trước hiểm họa do sóng thần xuất phát từ vùng núi lửa mới được tìm thấy này”, ông Ian Dalziel thuộc Đại học Texas tại Austin kết luận.
Phan Khôi
