Chỉ một tuần sau khi bị hai cơn cuồng phong Mindulle và Kompasu hoành hành, Nhật Bản lại tiếp tục hứng chịu một siêu bão nữa ập vào phía đông nước này.
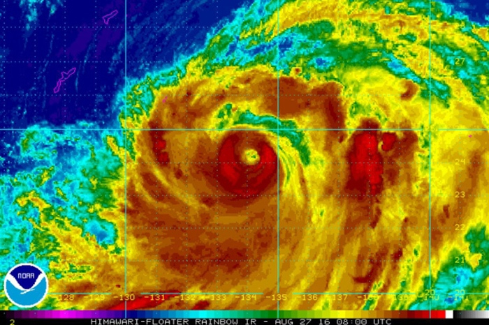
Hiện đang quần thảo ở phía tây Thái Bình Dương, sát quần đảo Okinawa ở phía nam, bão Lionrock di chuyển về hướng đông bắc với tốc độ 20km/h. Dự báo, siêu bão này sẽ quét qua Kagoshima trước khi tiến đến thủ đô Tokyo và Sendai vào tuần sau.
"Sức gió của Lionrock hiện đang ở mức 205 km/h, tương đương cấp độ 3...", phát thanh viên thời tiết Derek Van Dam của CNN bình luận.
![]() |
Trước đó, hai cơn bão đã tấn công Nhật Bản làm 1 người thiệt mạng và hàng chục ngôi nhà bị tàn phá.
Cơ quan Khí tượng học Nhật đã ban hành cảnh báo về nguy cơ sóng lớn và sấm xuất hiện ở bờ biển phía đông.
Hai hãng hàng không Japan Airlines và All Nippon Airways đều đã cảnh báo về khả năng bị gián đoạn hoạt động bay. Họ cũng khuyến cáo các tuyến đến và ra khỏi khu vực Kanto – bao quanh Tokyo trên Honshu, hòn đảo lớn nhất Nhật Bản – có thể bị ảnh hưởng.
Thanh Hảo
