Bão

Cập nhật tin bão mới nhất hôm nay: thông tin dự báo, vị trí, hướng di chuyển, cấp độ bão, cảnh báo mưa lớn, lũ quét, sạt lở và hướng dẫn phòng tránh.

Bão bức xạ mặt trời chưa từng có trong 20 năm đe dọa Trái đất

Trong nửa cuối tháng 1, các nhà khoa học đã ghi nhận một cơn bão bức xạ mặt trời cấp độ S4 hiếm gặp trên Trái đất, do một luồng hạt tích điện mạnh từ Mặt trời gây ra.

Hai điểm nổi bật của không khí lạnh năm nay, dự báo còn một cơn bão đến cuối năm

Không khí lạnh năm nay xâm nhập sâu xuống phía Nam và hoạt động mạnh, gây rét đậm, rét hại ở miền Bắc từ nửa cuối tháng 12, kèm hình thái rét khô. Từ nay đến cuối năm vẫn có khả năng xuất hiện thêm bão.

11 ngày đêm miền Trung vật lộn với lũ, sạt lở và bão tàn phá

Chỉ trong 11 ngày, người dân các tỉnh miền Trung phải oằn mình chống chọi hai trận lũ lớn và một cơn bão mạnh. Nhiều khu vực miền núi bị sạt lở nghiêm trọng, gây thiệt hại lớn.

Diễn biến mưa lũ ở miền Trung, bão số 13 khả năng xuất hiện trên Biển Đông

Diễn biến mưa lũ ở miền Trung còn phức tạp, khó lường và khả năng kéo dài. Dự báo, bão số 13 xuất hiện trên Biển Đông vào ngày 5/11, khu vực chịu tác động trực tiếp là từ Đà Nẵng đến Khánh Hoà.

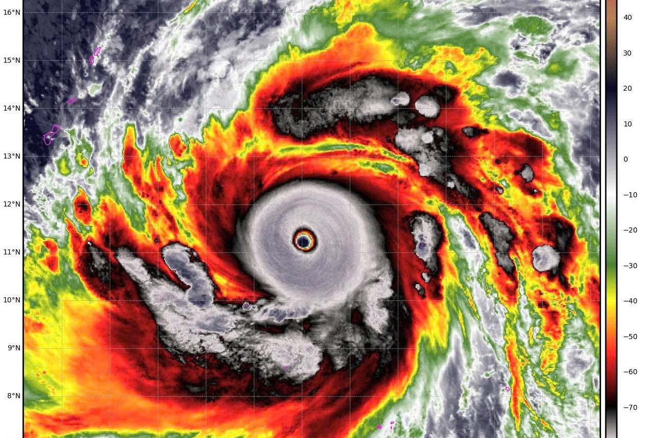
Khoảnh khắc máy bay đi vào tâm cơn bão mạnh nhất thế giới

Một máy bay của Không quân Mỹ đã đi vào bên trong cơn bão Melissa và ghi lại những hình ảnh bên trong tâm của cơn bão mạnh nhất trong năm nay, tính tới thời điểm hiện tại.

4 cơn bão trút xuống và hành trình gieo mầm kiên cường

Chỉ trong hai tháng, 4 cơn bão liên tiếp đã nhấn chìm nhiều vùng quê trong biển nước. Nhưng giữa những mất mát, người Việt vẫn đứng dậy, mạnh mẽ và sẻ chia.

Chuyến xe yêu thương từ trường Newton: Gửi trọn tình yêu đến học sinh vùng bão

Trường Newton chung tay sẻ chia với giáo dục Bắc Ninh sau bão số 11, lan tỏa tinh thần 'lá lành đùm lá rách', tiếp sức thầy trò vùng lũ.

Loạt biệt thự tan hoang sau bão ở Hà Tĩnh: Lộ ra điều ít ai ngờ

Sau bão số 10, hàng loạt căn biệt thự nằm sát biển Xuân Thành, Hà Tĩnh bị bão vò nát, lộ ra kết cấu móng khá đơn giản. Chủ đầu tư đã điều máy móc đến để làm kè chắn sóng, lấy cọc sắt làm trụ gia cố, tránh đổ sập tiếp.

Thành phố ven biển Trung Quốc ‘oằn mình’ hứng chịu lũ lụt vì bão Matmo

Dù bão Matmo chưa trực tiếp đổ bộ vào miền nam Trung Quốc, nhưng một số khu vực duyên hải nước này đã hứng chịu cảnh lụt lội nghiêm trọng do ảnh hưởng của hoàn lưu bão.

Bão Matmo áp sát, Trung Quốc dốc sức lo đối phó thiên tai

Các cơ quan khí tượng Trung Quốc rạng sáng nay (5/10) đã phát thông cáo nâng cảnh báo thiên tai lên mức cao nhất (mức đỏ) trong bối cảnh bão Matmo sắp đổ bộ vào miền nam nước này.

Bão Matmo áp sát, Philippines nâng mức cảnh báo ở đảo Luzon

Theo truyền thông Philippines, bão Matmo đã áp sát khu vực phía đông đảo Luzon của nước này vào sáng nay (3/10).

Để sống an toàn ngay trong vùng nguy cơ thiên tai

Lũ quét, sạt lở đất không còn là hiện tượng dị thường mà đang trở thành một phần thực tế khốc liệt ở các tỉnh miền núi dưới tác động của biến đổi khí hậu.

Bão Bualoi: Khi thiên tai vượt kịch bản, và cái nghèo không chịu… tan

“Thiên tai không chờ ai” – Lời cảnh báo mang tính tổng kết kinh nghiệm ngàn năm này lại được chứng minh một cách cay đắng sau bão Bualoi.

Bão dồn dập trên Biển Đông, từ nay đến cuối năm còn bao nhiêu cơn nữa?

Nửa cuối tháng 9, Biển Đông liên tiếp xuất hiện nhiều cơn bão, có những cơn ảnh hưởng trực tiếp đến đất liền nước ta. Các chuyên gia khí tượng đã phân tích nguyên nhân và đưa ra dự báo về diễn biến bão có thể xảy ra trong những tháng cuối năm.

Hà Nội khẩn trương triển khai ứng phó siêu bão Ragasa

Ngày 24/9, Chủ tịch UBND TP Hà Nội đã ban hành công điện khẩn về việc triển khai công tác ứng phó bão số 9 (siêu bão Ragasa).

Hưng Yên cấm biển từ 12h hôm nay 24/9

UBND tỉnh Hưng Yên vừa ban hành công điện về việc chủ động ứng phó với cơn bão số 9 (siêu bão Ragasa), trong đó có việc sẽ cấm biển từ 12h ngày 24/9.

Hình ảnh mắt siêu bão Ragasa chụp từ phi cơ

Truyền thông Trung Quốc sáng nay (24/9) đã công bố đoạn video ghi lại một phần của mắt siêu bão Ragasa được chụp từ phi cơ chuyên dụng.

Bão Ragasa tăng cấp 'thần tốc', di chuyển nhanh trước khi vào Biển Đông

Bão Ragasa tiếp tục được dự báo mạnh thành cấp siêu bão trước khi tiến vào Biển Đông khoảng ngày 23/9. Khu vực Bắc Biển Đông (bao gồm đặc khu Hoàng Sa) biển động dữ dội, sóng cao trên 10m.

Bão Ragasa hình thành, khả năng tiến vào Biển Đông với cường độ rất mạnh

Tối nay 18/9, áp thấp nhiệt đới ở ngoài kinh tuyến 133 độ kinh Đông đã mạnh lên thành bão, tên quốc tế là Ragasa. Dự báo, đây là cơn bão rất mạnh, di chuyển vào Biển Đông những ngày tới và có thể ảnh hưởng trực tiếp đất liền nước ta.

Tháng 9 vào chính vụ bão, miền Bắc khả năng đối mặt mưa lớn diện rộng

Tháng 9/2025 được nhận định là thời kỳ chính vụ bão nên trên Biển Đông khả năng xuất hiện khoảng 2-3 cơn bão hoặc áp thấp nhiệt đới. Bắc Bộ, Bắc Trung Bộ có thể có một số đợt mưa lớn diện rộng.