Tin tức 24h

Những thi thể còn sót lại trong 'Vương quốc Hồi giáo' của IS ở Mosul

Lực lượng cứu hộ Iraq đang tiến hành rà soát hơn 300 địa điểm để tìm kiếm những thi thể còn sót lại ở thành phố cổ Mosul.

Ai đứng sau mạng lưới chuyển tiền cho Triều Tiên?

Nổi bật lên trong số các hành động pháp lý của Mỹ liên quan đến Triều Tiên gần đây có thể kể đến vụ kiện liên bang nhằm vào thương vụ làm ăn của một doanh nhân Trung Quốc.

Triều Tiên sắp thử hạt nhân lần 6?

Các quan chức Hàn Quốc cho biết Triều Tiên có thể đang chuẩn bị thử hạt nhân lần 6.

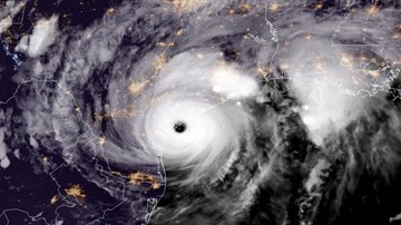
'Siêu bão thập kỷ' Harvey quét dọc bờ biển bang Texas

Sau khi oanh tạc dọc bãi biển vịnh Mexico, siêu bão nhiệt đới Harvey đổ bộ vào bang Texas hôm 25/8, đem theo nhiều lốc xoáy và mưa lớn kéo dài, gây lụt lội nghiêm trọng.

Hàn Quốc tập trận ném bom 'giới lãnh đạo Triều Tiên'

Bốn chiến đấu cơ F-15K của Hàn Quốc đã tiến hành diễn tập ném bom thật chống lại giới lãnh đạo Triều Tiên vào hôm 29/8 trong phản ứng với vụ phóng tên lửa đạn đạo mới nhất của Bình Nhưỡng.

Triều Tiên bất ngờ phóng tên lửa bay qua Nhật Bản

Sáng sớm nay (29/8), Triều Tiên đã phóng một quả tên lửa bay qua Nhật Bản và rơi xuống Thái Bình Dương ở ngoài khơi Hokkaido.

Hé lộ cách đặt tên vũ khí của NATO và Nga

Tập tục NATO đặt tên cho thiết bị quân sự của Nga có từ thời kỳ đầu của Chiến tranh Lạnh. Liệu có quy luật hay tập tục chung nào cho việc đặt tên không?

Đột nhập lò đào tạo 'nô lệ' phục vụ thế giới

Tại Philippines có những lò đào tạo người giúp việc cho các quốc gia giàu có.

Triều Tiên cấp tập thử tên lửa, điều gì sẽ xảy ra?

Triều Tiên một lần nữa lại gia tăng căng thẳng với Mỹ khi phóng 3 tên lửa ra biển Nhật Bản ngày 26/8. Đây là một diễn biến gây thất vọng nhưng không có nghĩa là chiến tranh sắp nổ ra.

Ảnh cảnh sát Mỹ cứu hai mẹ con gốc Việt sau bão gây sốt

Bức ảnh chụp một viên cảnh sát Mỹ bế hai mẹ con gốc Việt sau siêu bão Harvey đang được cộng đồng mạng quan tâm.

Dân Mỹ rủ nhau ra đường bơi phao, lướt sóng giữa 'siêu bão thập kỷ'

Cơn bão Harvey nhấn chìm thành phố Houston, bang Texas, Mỹ trong biển nước, trong khi hàng nghìn người phải leo lên cao để tránh lũ, một số thanh niên lại thích thú bơi phao, lướt sóng trên đường ngập.

Uy lực siêu chiến cơ biểu tượng sức mạnh quân sự Nga

Tổng thống Vladimir Putin vừa “khoe” sức mạnh quân sự của Nga một lần nữa khi cho công bố chiến đấu cơ tàng hình đầu tiên của nước này.

Vén màn bí mật máy bay trinh thám nhanh nhất thế giới

SR-71 Blackbird là máy bay trinh sát chiến lược tầm xa của Mỹ. Đến nay, còn nhiều điều về loại vũ khí này chưa được khám phá hết.

Tổng thống Trump tiết kiệm được bao tiền từ vụ trục xuất lịch sử?

Sau khi phải cắt giảm 3/4 trong số 755 nhân viên ngoại giao Mỹ đang làm việc tại Nga, Tổng thống Trump sẽ tiết kiệm một số tiền không lớn nhưng ảnh hưởng về mặt ngoại giao lại không hề nhỏ.

Trung Quốc, Ấn Độ rút quân khỏi khu vực tranh chấp

Trung Quốc và Ấn Độ vừa đồng ý "rút quân nhanh chóng" khỏi khu vực tranh chấp.

Giải cứu bé 3 tuổi mắc kẹt trên 'chuồng cọp' tầng 4

Một bé gái 3 tuổi tại miền trung Trung Quốc đã được những người hàng xóm nhanh chóng giải cứu sau khi bị mắc kẹt trên "chuồng cọp" tầng 4.

Bức hình ám ảnh từ tâm siêu bão Harvey

Trong cơ sở dưỡng lão La Vita Bella ở Mỹ, các cụ bà tóm chặt đồ dùng cá nhân trong khi nước ngập dâng lên cao gần hết người. 

Đột nhập lò đào tạo 'nô lệ' phục vụ cả thế giới ở Philippines

Tại Philippines, có những lò đào tạo người giúp việc cho các quốc gia giàu có. Tại đây, họ được học cách chăm sóc nhà cửa một cách hoàn hảo, và quan trọng hơn, là học cách tuân thủ chủ của mình vô điều kiện.

Vũ khí tương lai "siêu khủng" của quân đội Nga

Thứ trưởng Bộ Quốc phòng Nga Yury Borisov cho biết quân đội nước này đã ký 23 hợp đồng mua vũ khí và thiết bị quân sự mới với tổng trị giá hơn 2,8 tỷ USD.

Uy lực siêu chiến cơ biểu tượng sức mạnh quân sự Nga

Tổng thống Vladimir Putin vừa “khoe” sức mạnh quân sự của Nga một lần nữa khi cho công bố chiến đấu cơ tàng hình đầu tiên của nước này.

'Triển lãm' vũ khí tự chế của IS

Trong số các món đồ trưng bày tại triển lãm quân sự quốc tế Nga Army-2017 có rất nhiều chiến lợi phẩm thu được từ các nhóm khủng bố ở Syria.

Đường biến thành sông sau siêu bão lịch sử ở Mỹ

Mưa như trút nước đổ xuống bang Texas của Mỹ sau siêu bão Harvey, cơn bão mạnh nhất từng tấn công bang này trong hơn 50 năm qua, đã gây ngập lụt nghiêm trọng. Lực lượng cứu hộ đã giải cứu khoảng 2.000 người bị mắc kẹt do nước dâng cao.

Xuất hiện nhóm khủng bố mới, có thể đáng sợ hơn IS

Hơn 25.000 tay súng thuộc 70 nhóm khác nhau đã cấu kết thành liên minh khủng bố mới tại Syria có tên gọi Heyat Tahrir Al-Sham (HTS).

Kim Jong Un thề 'mài sắc thêm bảo kiếm hạt nhân'

Kim Jong Un lại làm dấy lên lo ngại về một cuộc chiến tổng lực giữa Triều Tiên với Mỹ khi đe dọa sẽ "mài sắc bảo kiểm hạt nhân".

Xem nhóm phi công bay thẳng vào cơn cuồng phong Harvey

Một nhóm “thợ săn bão” đã bay thẳng vào cơn cuồng phong Harvey để thu thập dữ liệu về thời tiết cho Cục Quản Trị Đại dương và Khí Quyển Quốc gia Hoa Kỳ, đây có lẽ là cơn bão mạnh nhất đánh vào nước Mỹ trong hơn một thập kỷ qua.