Tin tức 24h

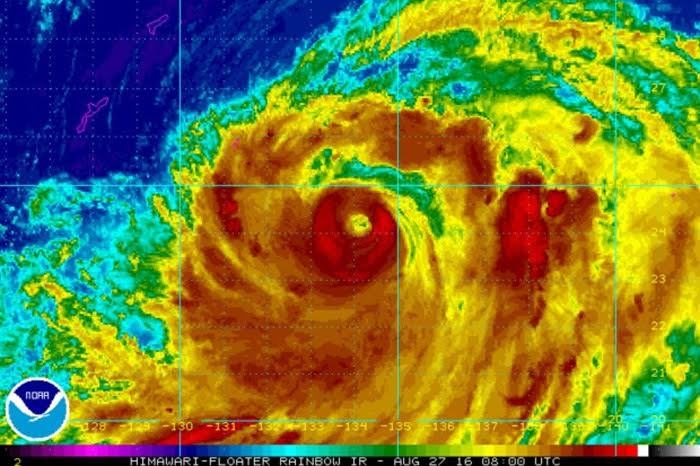
Nhật hứng siêu bão thứ 3 trong ​một​ tuần

Chỉ một tuần sau khi bị hai cơn cuồng phong Mindulle và Kompasu hoành hành, Nhật Bản lại tiếp tục hứng chịu một siêu bão nữa ập vào phía đông nước này.

Triều Tiên có khả năng tấn công Mỹ nhờ sức mạnh quân sự

Chuyên gia Mỹ cho rằng, với tiến trình thử nghiệm tên lửa và sức mạnh quân sự nói chung, Triều Tiên có khả năng tấn công Mỹ vào năm 2020.

Bắt thuỷ quái 'khổng lồ' trên sông Fraser

Quái vật trong truyền thuyết trên sông Fraser, Canada vừa mới bị bắt gọn. Con cá tầm trắng dài gần 4m, nặng gần 3 tạ vừa bị bắt trên sông Fraser đã hé lộ điều bí ẩn về một quái vật trong truyền thuyết của vùng này. Nó chính là con cá mà người dân địa phương từng biết đến với chiếc mõm hồng kì lạ suốt hơn 40 năm qua với cái tên Pig Nose.

Uy lực robot sát thủ của Iraq

Alrobot được lắp súng máy hạng nặng cùng 2 rocket không điều khiển đem lại sức mạnh tác chiến vượt trội.

Hiện tượng cực hiếm: 3 vòi rồng hút nước cùng lúc ngoạn mục ở Trung Quốc

Đoạn clip do du khách ghi lại cho thấy cảnh tượng ngoạn mục khi 3 vòi rồng hút nước khổng lồ xuất hiện cùng một lúc trên hồ Thanh Hải, (tỉnh Thanh Hải, Trung Quốc), hiện tượng cực hiếm gặp xảy ra hôm 24/8 và kéo dài khoảng 5 phút.

Sân bay Thổ trúng rocket, khách hoảng loạn

Đêm 27/8, hành khách tại sân bay Diyarbakir, tỉnh Diyarbakir (Thổ Nhĩ Kỳ), đã một phen hoảng hốt sau khi sân bay này bị trúng rocket.

Máy bay chở 100 người hỏng động cơ giữa lưng chừng trời

Sáng 27/8, chuyến bay 3472 của hãng Southwest Airlines từ New Orleans đi Orlando (Mỹ) đã phải hạ cánh khẩn, do một động cơ bị hỏng nặng.

Tỷ phú người Mỹ âm mưu lật đổ Putin

Tỷ phú người Mỹ gốc Hungary nổi tiếng thế giới George Soros dường như không chỉ cổ vũ mà còn muốn lập lực lượng chống Putin bên trong Nga để gây mất ổn định nước này.

Người sống lâu nhất thế giới chỉ ước được chết

Cụ ông Mbah Gotho, 145 tuổi, người Indonesia, tuyên bố, ông là người sống lâu nhất thế giới. Theo giấy tờ được giới chức Indonesia xác nhận, ông Gotho sinh ngày 31/12/1870.

Nữ đại gia bị "Vua Càn Long" lừa 140 tỷ đồng

Hai người đàn ông Trung Quốc đã bị bắt giữ vì được cho là đã thực hiện một vụ lừa đảo hi hữu khi đã tự nhận mình là vua Càn Long còn sống nhờ uống thuốc "trường sinh bất lão" để lừa đảo 40 triệu nhân dân tệ (tương đương 140 tỷ đồng) từ một người phụ nữ giàu có.

Người đàn ông già nhất thế giới muốn chết mà... không được

Một cụ ông người Indonesia, 147 tuổi, đang được xem là “người già nhất thế giới” do có thể đã bị "thần chết bỏ quên". Tuy nhiên, trái với mong muốn được trường sinh bất lão của rất nhiều người, cụ ông này lại cho biết mình muốn được chết.

Nữ chính trị gia bị bắt quả tang chơi Pokémon Go trong phiên họp chính phủ

Một chính trị gia cao cấp của Na Uy bị camera ghi hình đang chơi Pokémon Go ngay trong phiên họp giữa Bộ Ngoại giao và Bộ Quốc phòng nước này.

Cầu sập, rơi thẳng xuống quốc lộ

Giao thông tại quốc lộ M20 tại Kent (Anh) đã rơi vào tìnhtrạng hỗn loạn, sau khi một chiếc cầu bị sập và rơi xuống đường cao tốc lúc gần1 giờ trưa ngày 27/8 (giờ địa phương).

Triều Tiên dọa bắn vào thiết bị quân sự Mỹ, Hàn dọc biên giới

Triều Tiên vừa lên tiếng cảnh báo rằng sẽ bắn vào thiết bị quân sự hạng nhẹ của quân đội Mỹ, Hàn Quốc tại làng đình chiến, giáp biên giới Triều – Hàn.

Máy bay đang trình diễn đâm xuống đất, phi công thiệt mạng

Trong triển lãm hàng không diễn ra tại Zhangye, tỉnh Cam Túc, một chiếc máy bay trong khi đang trình diễn đã bất ngờ lao xuống đất, khiến phi công thiệt mạng.

Vác thi thể vợ cuốc bộ 12km vì bệnh viện không cấp xe

Sau khi người vợ qua đời vì bệnh lao và bệnh viện từ chối trả phí vận chuyển, người đàn ông nghèo chỉ còn cách quấn thi thể vợ với một tấm chăn và vác trên vai, đi bộ 12km để về nhà.

Chồng bí mật lắp camera ghi cảnh vợ đánh đập con

Nghi ngờ vợ thường xuyên đánh đập con nhỏ, người chồng đã bí mật lắp camera để theo dõi.

Nhà hàng Trung Quốc cho thuốc phiện vào thức ăn để giữ khách

Trang Bưu điện Hoa Nam buổi sáng có trụ sở tại Hong Kong đưa tin, Cơ quan quản lý thị trường và an toàn thực phẩm thành phố Chengdu, tỉnh Sichuan, Trung Quốc hồi cuối tháng trước đã tiến hành điều tra một nhà hàng lẩu nổi tiếng tại đây, sau khi nhận được tố cáo từ một khách hàng rằng chủ nhà hàng cho thuốc phiện vào đồ ăn khiến thực khách bị nghiện.

Putin bất ngờ sa thải 8 tướng lĩnh

Tổng thống Nga Vladimir Putin vừa ký sắc lệnh sa thải 8 tướng lĩnh. Những tài liệu liên quan cũng đã được đăng trên cổng thông tin pháp luật chính thức, hãng thông tấn Sputnik đưa tin.

Vì sao bà Hillary Clinton không chịu mang họ chồng sau 10 năm kết hôn?

Vì sao sau khi kết hôn với Bill Clinton, bà Hillary vẫn không đổi họ theo họ của chồng? Và lý do gì ngày nay bà lại làm như vậy? Trong 40 năm qua, cái tên Hillary Clinton đã có nhiều thay đổi mà không phải ai cũng biết đến.

Chân dung sát thủ khét tiếng nhất thế giới

Sát thủ có nhiều nạn nhân nhất trên thế giới là một người Ấn Độ tên Thug Behram - kẻ đã giết 931 nạn nhân.

Sếp ngân hàng vén màn bí ẩn tài sản của Putin

Andrei Kostin, lãnh đạo ngân hàng VTB của Nga, vừa có những tuyên bố thẳng thắn xoay quanh các tin đồn về tài khoản mật, của cải chìm của Tổng thống Putin.

Cưỡi Harley, mang sổ đỏ tới cầu hôn bạn trai

Một cô gái ở Thành Đô (Trung Quốc) đã dũng cảm đem sổ đỏ và một chiếc xe phân khối lớn để cầu hôn bạn trai.

Cháy lớn giữa thủ đô Nga, 17 người chết

Một vụ hỏa hoạn đã xảy ra tại một nhà kho của xưởng in phía đông bắc Moscow khiến 17 người thiệt mạng.

Trung Quốc lấy cát Philippines xây đảo ở Biển Đông

Trung Quốc có thể đã khai thác trái phép đất cát của Philippines để sử dụng vào việc bồi đắp và xây dựng đảo nhân tạo phi pháp ở Biển Đông.