
Vì sao bão số 9 giảm cấp nhanh?
Theo Trung tâm Dự báo khí tượng thủy văn quốc gia, vào lúc 10h sáng nay (25/9), bão số 9 Ragasa đã suy yếu thành áp thấp nhiệt đới khi còn cách Móng Cái (Quảng Ninh) khoảng 40km về phía Đông; cường độ cấp 7 (50 - 61km/h), giật cấp 9. Trong ít giờ tới, áp thấp nhiệt đới tiếp tục suy yếu nhanh thành vùng áp thấp.
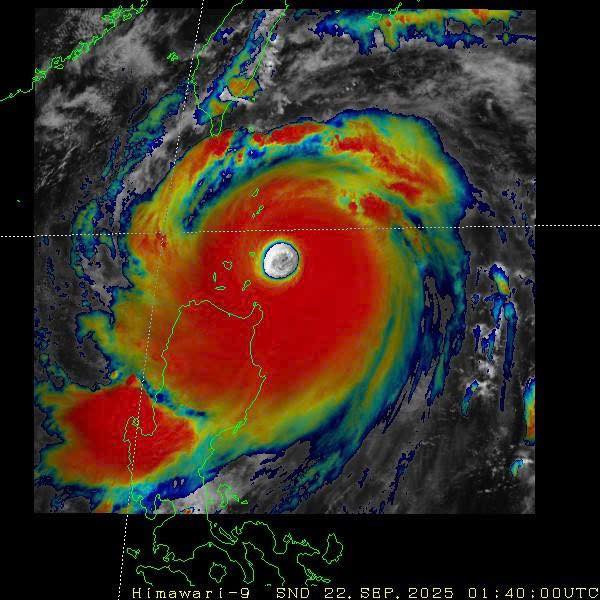
Như vậy, từ cấp siêu bão 17 khi vào Biển Đông tối 22/9, bão Ragasa đã giảm cấp nhanh chóng khi tiếp cận vùng bờ biển nước ta.
Theo đánh giá của các chuyên gia, nguyên nhân bão giảm cấp rõ rệt là do ở phía Bắc có khối không khí lạnh yếu di chuyển về nước ta. Khối không khí lạnh này có đặc điểm khô, độ ẩm tương đối thấp 30-40%. Do đó, khi siêu bão Ragasa di chuyển theo hướng Tây Tây Bắc, đến gần khu vực Quảng Đông (Trung Quốc) hoàn lưu phía Bắc tâm bão tương tác với khối không khí lạnh khô làm suy yếu.

Cùng với đó, sau khi hoành hành ở tỉnh Quảng Đông và bán đảo Lôi Châu (Trung Quốc), bão Ragasa giảm liền bốn cấp. Việc tương tác với ma sát địa hình này đã làm cho cấu trúc bão bị phá vỡ, cũng như nguồn năng lượng cung cấp cho bão suy giảm đáng kể. Những yếu tố này khiến bão khi di chuyển vào vùng biển nước ta nhanh chóng suy yếu.
Tuy bão giảm chỉ còn là áp thấp nhiệt đới, nhưng hoàn lưu gây mưa to đến rất to cho khu vực Bắc Bộ, Thanh Hóa và Nghệ An từ sáng nay đến hết đêm mai (26/9). Lượng mưa phổ biến 100-200mm, cục bộ có nơi trên 300mm. Người dân cần đề phòng mưa với cường suất lớn gây ngập úng đô thị. Mưa lớn có khả năng gây ra tình trạng ngập úng tại các vùng trũng, thấp; lũ quét trên các sông, suối nhỏ, sạt lở đất trên sườn dốc...
Ragasa là cơn bão thứ 9 ở Biển Đông trong năm nay. Bão hình thành ngày 18/9 từ áp thấp nhiệt đới ở ngoài khơi Philippines, nhưng 3 ngày sau bão tăng 8 cấp thành siêu bão. Đến tối 22/9, siêu bão vào Biển Đông đạt mức cực đại cấp 17; vượt Yagi năm 2024 trở thành bão mạnh nhất trên Biển Đông trong 70 năm qua.
Diễn biến bão Bualoi, sắp thành bão số 10
Theo Trung tâm Dự báo khí tượng thủy văn quốc gia, đến 7h sáng nay, vị trí tâm bão Bualoi ở vào khoảng 10,8 độ Vĩ Bắc; 129 độ Kinh Đông, trên vùng biển phía Đông Philippines. Sức gió mạnh nhất vùng gần tâm bão mạnh cấp 12 (118-133km/giờ), giật cấp 15. Di chuyển theo hướng Tây Tây Bắc với tốc độ 15-20km/h.
Dự báo khoảng đêm 26/9, bão Bualoi sẽ đi vào vùng biển phía Đông khu vực giữa Biển Đông, trở thành cơn bão số 10 năm 2025.

Do ảnh hưởng của bão Bualoi, từ tối và đêm ngày 26/9, vùng biển phía Đông khu vực Bắc và giữa Biển Đông có gió mạnh cấp 6-7, sau tăng lên cấp 8-9, vùng gần tâm bão đi qua cấp 10-12, giật cấp 15, sóng biển cao trên 5-7m, biển động dữ dội, đặc biệt nguy hiểm đối với tàu thuyền hoạt động trên khu vực Bắc và giữa Biển Đông.


