
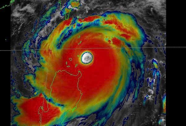
Theo Trung tâm Dự báo khí tượng thủy văn quốc gia, đến 4h sáng nay (23/9), tâm siêu bão số 9 Ragasa trên vùng biển phía Đông Bắc Biển Đông. Sức gió mạnh nhất vùng gần tâm bão đạt cấp 17 (202-221 km/giờ), giật trên cấp 17, di chuyển theo hướng Tây Tây Bắc với tốc độ khoảng 20 km/giờ.

Dự báo diễn biến siêu bão (trong 24 đến 72 giờ tới):

Từ 72 đến 96 giờ tiếp theo, áp thấp nhiệt đới di chuyển theo hướng Tây Tây Nam, mỗi giờ đi được khoảng 20km và suy yếu thành một vùng áp thấp.
Trên biển, khu vực phía Bắc Biển Đông có gió mạnh cấp 8-9, sau tăng lên cấp 10-14; vùng gần tâm bão đi qua cấp 15-17, giật trên cấp 17; sóng cao trên 10m, biển động dữ dội. Từ ngày 24/9, vùng biển phía Đông vịnh Bắc Bộ (bao gồm huyện đảo Bạch Long Vỹ) có gió mạnh dần lên cấp 6-7, giật cấp 9. Đêm 24/9, toàn bộ vịnh Bắc Bộ (Bạch Long Vỹ, Vân Đồn, Cô Tô, Cát Hải, Hòn Dấu) gió mạnh cấp 8-9, vùng gần tâm bão cấp 10-12, giật cấp 14, sóng cao 4-6 m, biển động dữ dội.
Tại ven bờ, Quảng Ninh - Hải Phòng có nguy cơ nước dâng do bão từ 0,5-1m, đe dọa an toàn đê điều, khu nuôi trồng thủy sản, tàu thuyền neo đậu.
Trên đất liền, từ sáng 25/9, vùng ven biển từ Quảng Ninh đến Thanh Hóa có gió mạnh cấp 6-7, sau tăng lên cấp 8, vùng gần tâm bão cấp 9-10, giật cấp 12. Khu vực sâu trong đất liền Đông Bắc Bộ có gió cấp 6-7, giật cấp 8-9.
Từ đêm 24-26/9, Bắc Bộ, Thanh Hóa và Nghệ An có mưa rất to, lượng phổ biến 100-250mm, có nơi trên 400mm. Nguy cơ cao xảy ra ngập úng tại vùng trũng, lũ quét ở sông suối nhỏ và sạt lở đất trên sườn dốc.
Do ảnh hưởng của hoàn lưu bão rộng, cần đề phòng nguy cơ xảy ra giông, lốc và gió giật mạnh cả trước và trong khi bão đổ bộ.
Cơ quan khí tượng khuyến cáo các địa phương, nhất là khu vực ven biển và vùng núi phía Bắc, chủ động phương án ứng phó, đảm bảo an toàn tính mạng và tài sản của nhân dân.


